Kynntu þér göngu- og hjólaleiðir, fjölbreytt íþróttastarf eða sundlaugar bæjarins en frítt er í sund fyrir 18 ára og yngri.
Börn og ungmenni hafa aðgang að góðri menntun, frístund og fjölbreyttum tómstundum.
Praktískar upplýsingar um strætó, sorphirðu, götuhreinsanir, umferð, dýrahald og fleira.
Hafnarfjarðarbær reynir að tryggja fjárhagslegt og félagslegt öryggi allra íbúa. Kynntu þér hvaða aðstoð er í boði.
Finndu tengilið farsældar fyrir barnið þitt og úrræðalista skóla og Hafnarfjarðarbæjar.
Þjónustuverið sinnir margvíslegri þjónustu og upplýsingagjöf fyrir íbúa, fyrirtæki og ferðamenn í Hafnarfirði.
Í Hafnarfirði er menningarhúsið Bæjarbíó, ýmis söfn og reglulegir viðburðir á dagskrá.
Hægt er að gista á hótelum, gistiheimilum eða fjölskylduvænu tjaldsvæði.
Í Hafnarfirði eru margir möguleikar til að létta lundina með útivist og hreyfingu.
Skoðaðu hvaða spennandi viðburðir eru fram undan eða skráðu nýjan.
Hlæðu með álfum og víkingum í menningu bæjarins.
Frá hugmynd að húsi. Allar upplýsingar sem tengjast því að byggja mannvirki.
Skoðaðu teikningar af húsum, lausar lóðir, vatns- eða hitafráveitur, staðsetningar grenndargáma, bekkja, leikvalla og margt fleira.
Upplýsingar um allar lóðir sem eru lausar til úthlutunar.
Kynntu þér hvaða skipulagsmál eru á döfinni í bænum.
Leitaðu eftir starfsfólki eða starfi hjá bænum.
Bæjarstjórn Hafnarfjarðar er skipuð 11 bæjarfulltrúum. Bæjarstjórnarfundir eru öllum opnir og sendir út í beinni útsendingu.
Skoðaðu fundargerðir allra ráða og nefnda bæjarins.
Skoðaðu opið bókhald bæjarins, húsnæðisstefnu og gögn um vefinn á einfaldan og myndrænan máta.
Hér má finna gjaldskrár bæjarins fyrir margs konar þjónustur sem boðið er upp á.
Kynntu þér stjórnskipulag Hafnarfjarðar, ráð og nefndir málaflokka og stefnur þeirra.
Vertu með á nótunum og fylgstu með fréttum, tilkynningum og auglýsingum um starfsemi bæjarins.
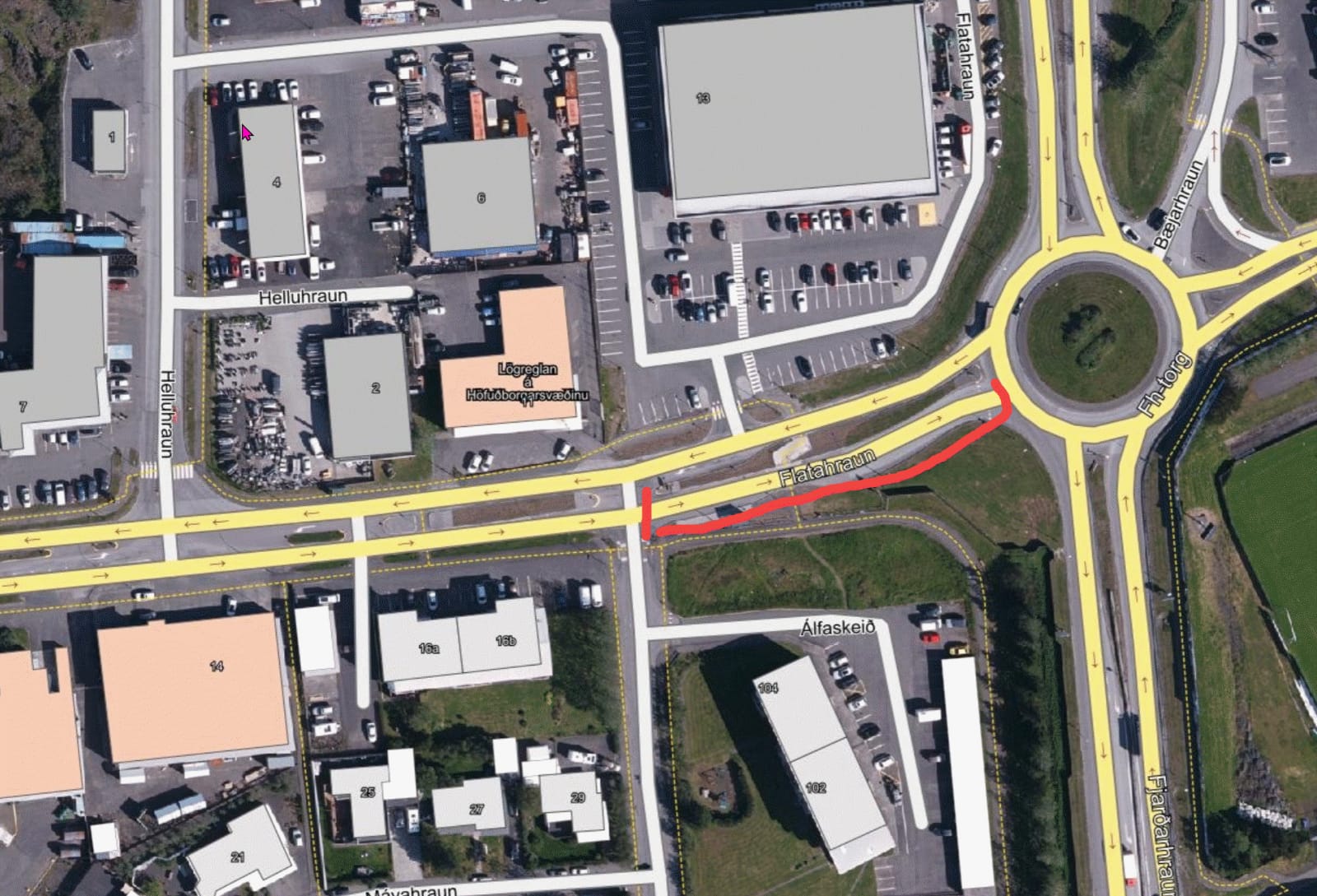
Vegna vegaframkvæmda verður Flatahraun við Álfaskeið (akrein til austurs) lokað að hluta til, fimmtudaginn 26.september frá kl.9:00 til kl.14:30. Þarna er verið vinna við hraðahindrun og verður akreinin til austurs á Flatahrauni frá Álfaskeiði lokuð á meðan verkinu stendur.
Vegna vegaframkvæmda verða eftirfarandi götur lokaðar fimmtudaginn 13.nóvember milli kl.9:00-20:00.
Vegna endurnýjunar hitaveitulagnar verður Kaldárselsvegur þveraður á einum stað, hjáleið gerð og vegi því ekki lokað. Í gildi frá kl.8:00,…
HS Veitur tilkynna að rafmagnslaust verður dagpart á hluta Suðurgötu og Hellubrautar fimmtudaginn 13. nóvember vegna vinnu í dreifistöð.
Vegna vegaframkvæmda verður Ásvallabraut (akbraut til vesturs) lokuð frá mánudeginum 10.nóvember kl.9:00, til þriðjudagsins 11.nóvember kl.18:00.
Íbúafundur verður haldinn í íþróttamiðstöð Hauka þriðjudaginn næsta 11. nóvember kl. 17. Þar verður farið yfir endurskoðun aðalskipulags Hafnarfjarðar 2025…
Jólaþorpið opnar 14. nóvember. Til að tryggja öryggi gesta verða götur í nánd við hjarta Hafnarfjarðar lokaðar á opnunartíma Jólaþorpsins.…
Vegna flugeldasýningar verður Fjarðargata lokuð föstudaginn 21.nóvember milli kl.19:15-19:30.
Vegna kvikmyndatöku verður Strandgata milli Linnetsstígs og Bæjartorgs lokuð þriðjudaginn 11.nóvember milli kl.16:30-19:00.
Boðað hefur verið til bæjarstjórnarfundar miðvikudaginn 5. nóvember. Formlegur fundur hefst kl. 14 í fundarsal bæjarstjórnar Hafnarborg, Strandgötu 34.
Vegna vegaframkvæmda verður Kaldárselsvegur lokaður frá þriðjudeginum 4.nóvember kl.8:00, til miðvikudagsins 5.nóvember kl.18:00.